Verkocht
Verkocht: Een vrijstaande woning die op zoek is naar twee rechterhanden!
Verhuizensestraat 1A, 4031 KS IngenBeschrijving
Vrijstaand wonen met prachtig uitzicht – een woning vol mogelijkheden!Stel je eens voor: elke ochtend wakker worden in een vrijstaand huis met weids uitzicht over de weilanden, terwijl je toch op loop- en fietsafstand woont van het dorp.
Deze vrijstaande woning, gebouwd in 1955 en in de jaren ’70 nog verbouwd, staat te wachten op een nieuwe eigenaar die hier met liefde en aandacht een droomhuis van maakt.
De basis is royaal, maar de woning verdient een frisse blik en een eigentijdse metamorfose.
Voor de handige koper met twee rechterhanden is dit een buitenkans!
Met een woonoppervlakte van ca. 119 m² en een perceel van maar liefst 550 m² is er alle ruimte om jouw woonwensen werkelijkheid te laten worden.
Bovendien maakt de indeling met slaapkamers en een badkamer op de begane grond deze woning geschikt voor meerdere doelgroepen: van jonge gezinnen tot mensen die levensloopbestendig willen wonen.
Indeling begane grond:
De lichte en zonnige woonkamer ligt aan de voorzijde en biedt een heerlijk uitzicht over de weilanden – een dagelijks schilderij dat steeds verandert met de seizoenen.
De keuken is eenvoudig en functioneel, maar biedt volop mogelijkheden om te moderniseren.
Grenzend hieraan ligt de praktische bijkeuken; samen zouden deze ruimten perfect om te vormen zijn tot een wat ruimere keuken.
Ook is er een fijne droge kelder, een praktische ruimte voor opslag van proviand.
Daarnaast vind je op de begane grond twee slaapkamers, toilet ruimte, bergkast, hal met vide en een badkamer met ligbad, douche, toilet en wastafel.
Deze gelijkvloerse voorzieningen maken het huis niet alleen praktisch, maar ook toekomstbestendig.
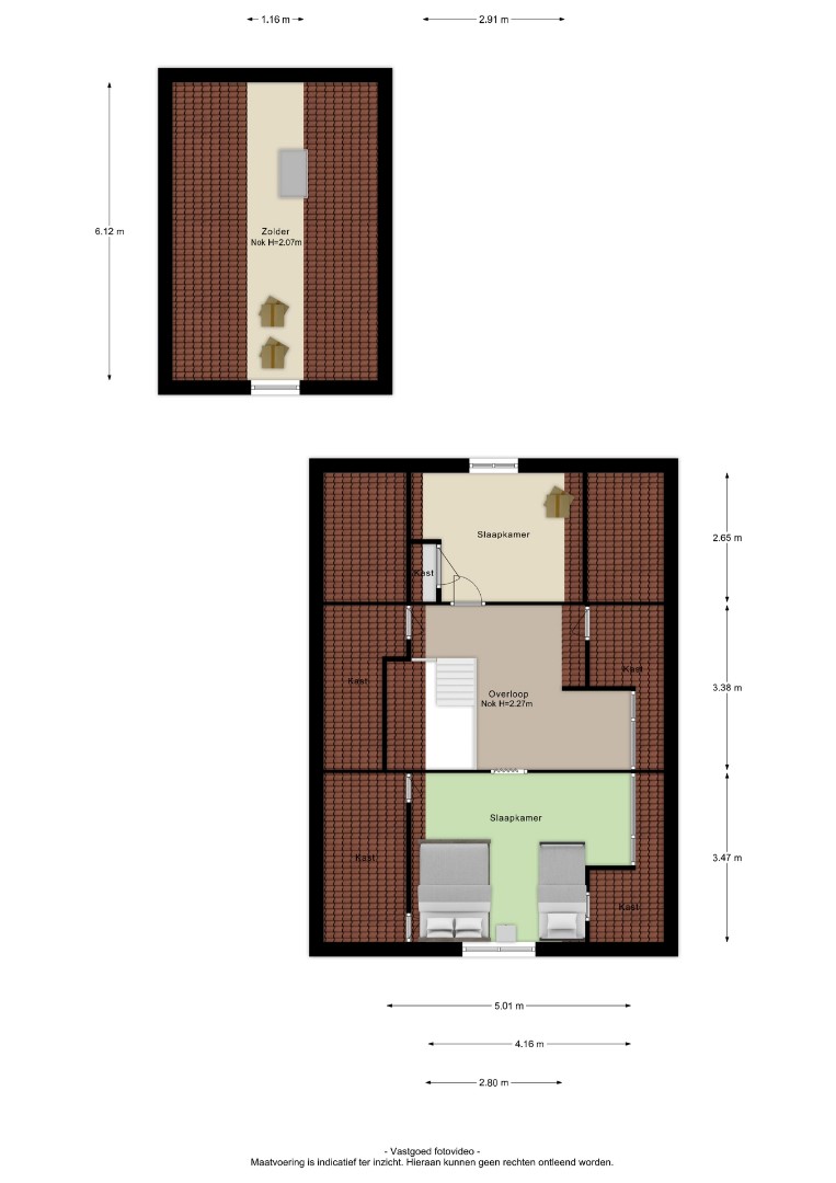
Eerste verdieping:
Op de eerste etage bevinden zich nog twee slaapkamers en een ruime overloop.
Deze overloop kan dienst doen als werkhoek, hobbyruimte of extra berging.
De slaapkamers zijn licht en lenen zich uitstekend voor een frisse modernisering.
Via een binnendoor bij de zijentree zijn de garage en berging bereikbaar.
Hierboven is nog een zolder die vanuit de berging bereikbaar is.
De tuin is royaal en biedt veel mogelijkheden.
Het grootste deel ligt aan de voor- en zijkant van de woning en is daarmee optimaal in te richten met zonneterrassen, speelruimte of een moestuin.
Achter de woning staat een schuurtje voor extra opslag.
De eigen oprit, garage en bergruimte maken het geheel compleet.
Pluspunten van deze woning:
Vrijstaande woning met veel mogelijkheden
Perceel van maar liefst 550 m²
Woonoppervlakte van ca. 119 m²
Twee slaapkamers en een badkamer op de begane grond
Vrij uitzicht over de weilanden aan de voorzijde
Garage, bergruimte, zolder en extra schuurtje aanwezig
Volop potentie om geheel naar eigen smaak te moderniseren en verduurzamen
Dit huis is ideaal voor iedereen die zijn of haar eigen ideeën wil realiseren en niet terugschrikt voor een klus.
De combinatie van ruimte, locatie en mogelijkheden maakt dit een woning waar je je creativiteit de vrije loop kunt laten.
Of je nu kiest voor een moderne metamorfose, een landelijke stijl of een duurzame make-over: hier kan het allemaal.
Ben jij degene die de uitdaging aangaat en van dit huis een prachtige thuisbasis maakt?
Plan dan snel een bezichtiging en ontdek zelf de vele mogelijkheden die deze woning te bieden heeft.
Kenmerken
| Overdracht | |
|---|---|
| Referentienummer | 8087/8752940 |
| Koopsom | € 450.000,- k.k. |
| Status | Verkocht |
| Aangeboden sinds | Vrijdag 3 oktober 2025 |
| Laatste wijziging | Woensdag 17 december 2025 |
| Bouw | |
|---|---|
| Type object | Woonhuis, vrijstaande woning, eengezinswoning |
| Soort bouw | Bestaande bouw |
| Bouwjaar | 1955 |
| Type dak | Overige |
| Oppervlaktes en inhoud | |
|---|---|
| Breedte | 34 m. |
| Lengte | 16,2 m. |
| Perceeloppervlakte | 550 m² |
| Woonoppervlakte | 119 m² |
| Inhoud | 516 m³ |
| Tuinoppervlakte | 238 m² |
| Indeling | |
|---|---|
| Aantal bouwlagen | 3 |
| Aantal kamers | 5 (waarvan 4 slaapkamers) |
| Aantal badkamers | 1 (en 1 apart toilet) |
| Locatie | |
|---|---|
| Ligging | Aan rustige weg Dichtbij openbaar vervoer Nabij school Nabij snelweg Open ligging Platteland Vrij uitzicht |
| Uitrusting | |
|---|---|
| Aantal parkeerplaatsen | 2 |
| Heeft een achtertuin | Ja |
| Kelder aanwezig | Ja |
| Heeft een elektriciteitsaansluiting | Ja |
| Tuin aanwezig | Ja |
| Heeft een garage | Ja |
| Heeft een parkeerplaats | Ja |
| Heeft keuken | Ja |